FIKIRA paysage et urbanisme
  • Jardin d'enfants Au sein du groupe Chaufournier Paris (75019) Chantier en cours +
     
Accueil Agence Equipements publics Portfolio
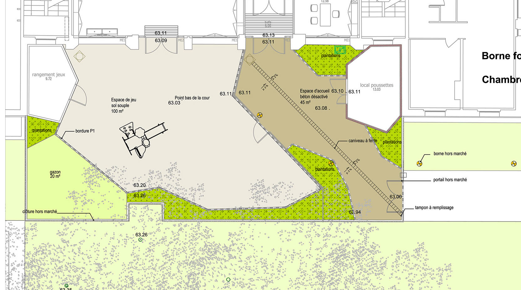
FIKIRA paysage et urbanisme MAITRISE D’OUVRAGE Paris Habitat MISSION Mission complète MAITRISE D’OEUVRE DE JEAN MARIN architectes / FIKIRA / Alterea ZONE D’INTERVENTION 396 m² bâti + 200 m² extérieurs MONTANT DES TRAVAUX 1 580 000 €